Isatech

Continuous DTM

Products

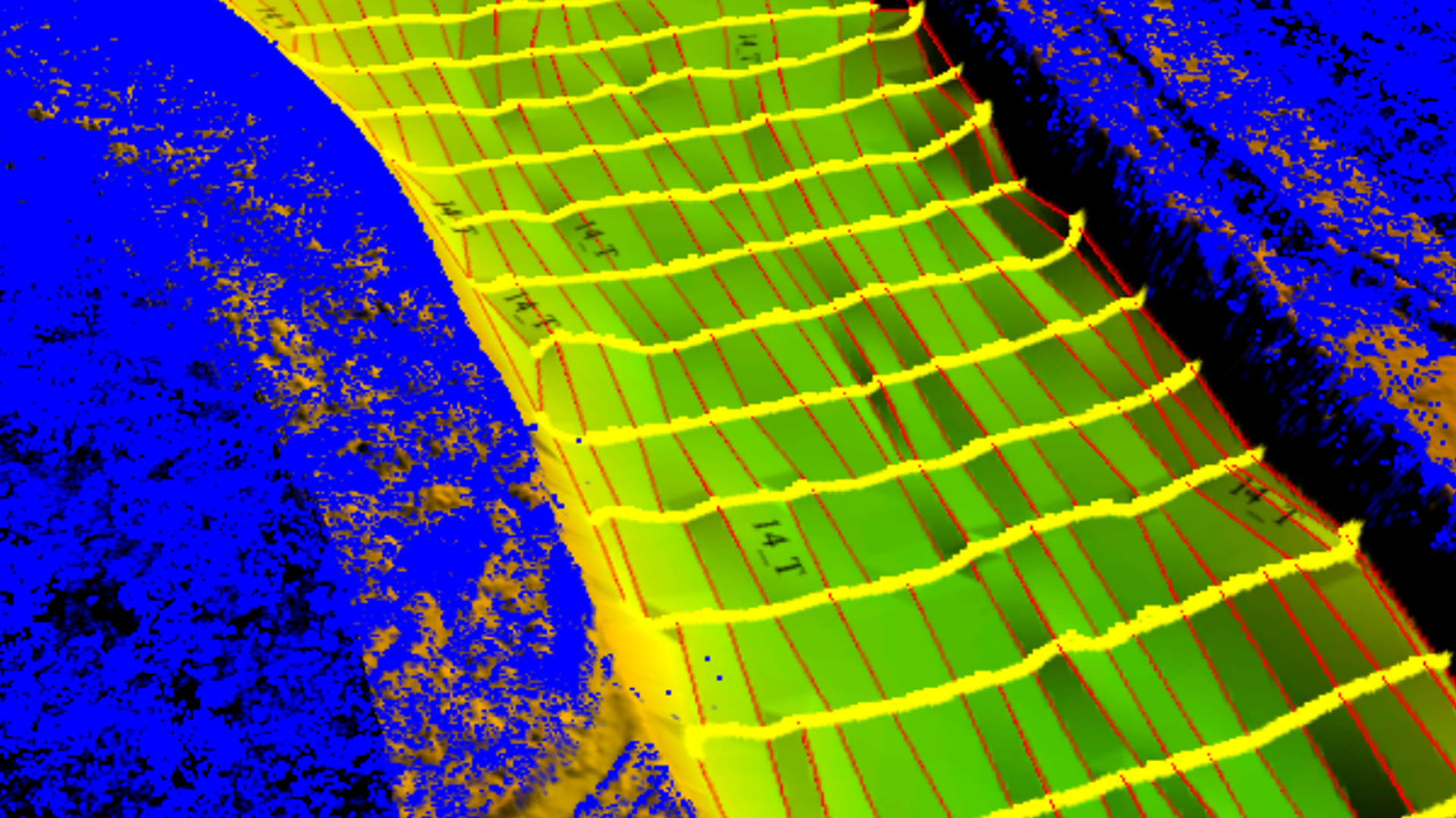
A Digital Terrain Model that integrates bathymetric information of the water bodies in the area of interest.
Continuous DTM

Continuous DTM

El DTM continuo es aquel en el que se integran fuentes de información batimétricas y de terreno. Este producto requiere que ambas fuentes de información cuenten con alta precisión altimétrica y planimétrica para dar como resultado un modelo digital de terreno que ofrece también información de las cotas del fondo de las superficies de agua. Isatech Corporation cuenta con equipos de teledetección aérea (LiDAR) y batimétrica (Ecosonda) así como con personal altamente calificado para efectuar la captura, el procesamiento y el empalme correspondiente de la información para generar un producto de la más alta calidad.

We would love to build something amazing together

Contact