Isatech

DTM Continuo

Products

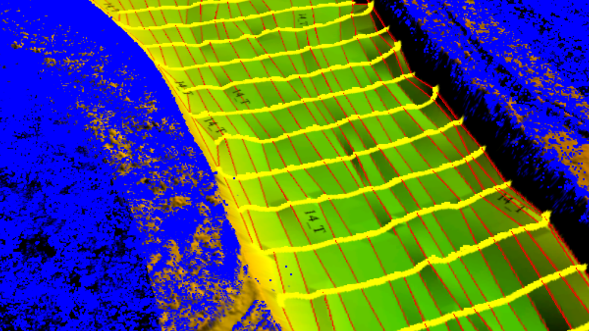
Modelo Digital de Terreno que integra información batimétrica de los cuerpos de agua de la zona de interés.
DTM Continuo

MDT Continuo

"El DTM continuo es aquel en el que se integran fuentes de información batimétricas y de terreno. Este producto requiere que ambas fuentes de información cuenten con alta precisión altimétrica y planimétrica para dar como resultado un modelo digital de terreno que ofrece también información de las cotas del fondo de las superficies de agua. Isatech Corporation cuenta con equipos de teledetección aérea (LiDAR) y batimétrica (Ecosonda) así como con personal altamente calificado para efectuar la captura, el procesamiento y el empalme correspondiente de la información para generar un producto de la más alta calidad."

We would love to build something amazing together

Contact